가거도 대물 감성돔 소식!!(1/2,2/3일 출항!!)
| |||||||||||||||||||
목포신안낚시 신안원도권 출항안내!!
1. "가 거 도,만 재 도" 출항!!
1) 만 재 도: 선비 130,000원 12월 26(토),27(일),28(월) ~ 2박 3일 (예약중!!)
2) 가 거 도: 선비 150,000원 12월 26(토),27(일) ~ 1박 3일 (예약중!!)?? 26(토),27(일),28(월) ~ 2박 3일 (예약중!!)?
2. "상 태 도,하 태 도" 출항!! 겨울 대물 감성돔 시즌 시작 했습니다. 태도 왕복 선비 : 이벤트 행사로 10만원으로 할인!! 저희 매장에서 2시 이후 승선명부 작성후 출발!! 12월 26(토),27(일) ~ 1박 2일 (예약중!!)? 26,27,28(월) ~ 2박 3일 편도 철수 여객선!!
3. 진도 "맹 골 도" 겨울 감성돔 시즌!! 12월달 본격적으로 기상만 허락하면 매일 매일 서망항 새벽 4시 출항합니다. 선비 : 현지 종선비 포함 90,000원 선착순으로 모십니다.? ## 목포 신안 낚시 전용 밴드 안내!! ## "가거도,추자도,만재도,태도,복사초,완도권"
출조 문의 !! 목포 신안 낚시 : 010 4606 7041 목포 야크 : 010 5058 3434 | |||||||||||||||||||
| 가거도인 신안 원도권을 출조하시는 회원님들께서 겨울철 대물 감성돔 5자 이상 대물이 많이 배출되고 있어서 평소 보다 채비를 든든하게 준비하시고, 원줄과 목줄과 바늘까지 정검하시고 출조하시면 겨울철 대물 감성돔 잡으시는데 충분하실것 같습니다. 겨울 철 원도권을 출조는 꼭!! 기상 먼저 확인하시고 출조 계획을 잡으시면 좋습니다. 가거도,태도,만재도,홍도는 겨울 시즌 2월달까지 꾸준히 대물 감성돔이 배출될것으로 전망합니다. | |||||||||||||||||||
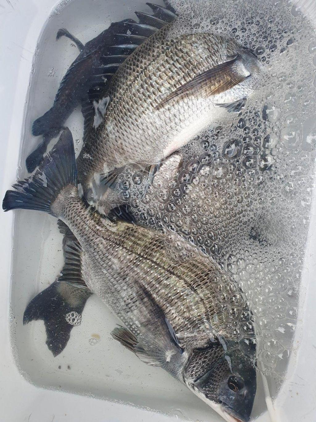
![]() 가거도 1구 22일 한보장 임성식 선장님 조황입니다. ![]() 가거도 1구 22일 한보장 임성식 선장님 조황입니다. ![]() 가거도 1구 22일 한보장 임성식 선장님 조황입니다. ![]() 가거도 1구 22일 한보장 임성식 선장님 조황입니다. ![]() 가거도 1구 22일 한보장 임성식 선장님 조황입니다. | |||||||||||||||||||
"가 거 도" 출항!! 26일(토)새벽~ 27일(일)철수!!? 26일(토)새벽~ 28일(월)철수!! "태 도" 출항!! 26일(토)새벽~ 28일(월)철수!! "맹 골 도" 출항!! 25일(금),26일(토),27일(일),28(월) 출항!!
예약 문의!! 010 - 4606 - 7041
| |||||||||||||||||||
| |||||||||||||||||||
![]() |














