가거도,태도,홍도,맹골도 기상이 좋은 날 조황소식!!
| |||||||||||||||||||
목포신안낚시 신안원도권 출항안내!!
1. "가 거 도,만 재 도" 출항!!
%% 가 거 도: 왕복 선비 150,000원 %% ## 2021년 ## 1) 1월 1일(금) 현재 기상으로 아침 6시 출항 예정! ~ 3일(일) 철수!! (2박 3일) 2) 2일(토) 서망항 새벽 2시 이후 출항!! ~3일(일) 철수!! (1박 2일) 3) 8일(금)~ 10일(일),(2박 3일) 현재 "8분" 예약 중!! 9일(토)~ 10일(일),(1박 2일) 예약받고 있습니다.
2. "상 태 도,하 태 도" 출항!! 겨울 대물 감성돔 시즌 시작 했습니다. 태도 왕복 선비 : 이벤트 행사로 10만원으로 할인!! 저희 매장에서 2시 이후 승선명부 작성후 출발!! ## 2021년 ## 1) 1월 1일(금) 현재 기상으로 아침 6시 출항 예정! ~ 3일(일) 철수!! (2박 3일) 2) 2일(토) 서망항 새벽 3시 이후 출항!! ~3일(일) 철수!! (1박 2일) %% 모든 출항하는 날짜로 편도는 가능합니다. %%
3. 진도 "맹 골 도" 겨울 감성돔 시즌!! 12월달 본격적으로 기상만 허락하면 매일 매일 서망항 새벽 4시 출항합니다. 선비 : 현지 종선비 포함 90,000원 선착순으로 모십니다.? ## 목포 신안 낚시 전용 밴드 안내!! ## "가거도,추자도,만재도,태도,복사초,완도권"
출조 문의 !! 목포 신안 낚시 : 010 4606 7041 목포 야크 : 010 5058 3434 신안낚시가이드 김남석 : 010 5066 2982 | |||||||||||||||||||
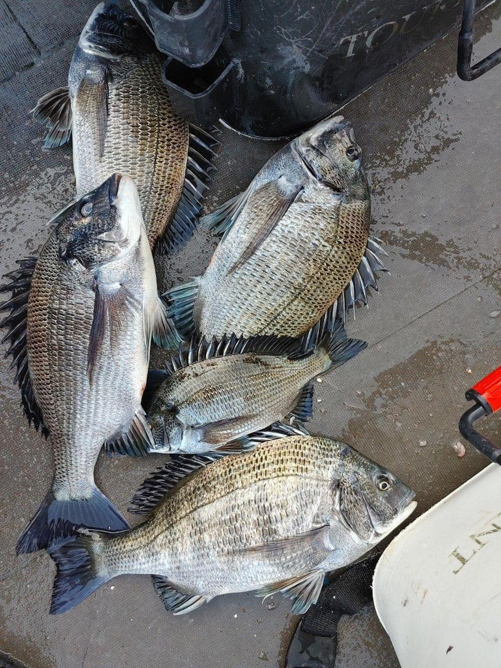
| 겨울 대물 감성돔은 신안 원도권을 대표하는 가거도,태도,홍도,맹골도포인트에서는 기상과 수온만 맞으면 다양한 포인트에서 좋은 소식을 전해준 하루였습니다. 앞으로 주의 보!! 새 해년 2021년 1월 1일 아침 부터 기상이 좋을것으로 예상되고 있습니다. 본인이 좋아하는 신안 원도권으로 출조하셔도 좋을것으로 전망합니다. | |||||||||||||||||||
![]() 가거도 1구 한보장 임성식선장님 조황!! 잡어도 있고 입질도 극도로 예민해서 손맛보시 힘들었답니다. ![]() 가거도 1구 한보장 임성식선장님 조황!! ![]() 가거도1구 해림호 김성민 선장님 조황소식입니다. 여러 포인트에서 좋은 조황!! ![]() 가거도 3구 임종재선장님 조황 소식입니다. 1월 한달 더욱 많은 대물 감성돔이 배출될것으로 전망한답니다. ![]() 가거도 3구 임종재선장님 조황 소식입니다. 1월 한달 더욱 많은 대물 감성돔이 배출될것으로 전망한답니다. ![]() 가거도 3구 임종재선장님 조황 소식입니다. 1월 한달 더욱 많은 대물 감성돔이 배출될것으로 전망한답니다. ![]() 상태도 송철희선장님 민박집 조황!! 목포 야크님께서 현지 상황을 전해 주었습니다. ![]() 상태도 송철희선장님 민박집 조황!! 목포 야크님께서 현지 상황을 전해 주었습니다. ![]() 상태도 송철희선장님 민박집 조황!! 목포 야크님께서 현지 상황을 전해 주었습니다. ![]() 상태도 송철희선장님 민박집 조황!! 목포 야크님께서 현지 상황을 전해 주었습니다. ![]() 홍도 1구 안효민 선장님 조황!! 시골 어부님께서 현지 상황을 전해주었습니다. ![]() 홍도 1구 안효민 선장님 조황!! 시골 어부님께서 현지 상황을 전해주었습니다. ![]() 맹골도 바다이야기 김창억선장님 조황!! 1,2,3,4 매일 서망항 새벽4시 출항한답니다. ![]() 맹골도 바다이야기 김창억선장님 조황!! | |||||||||||||||||||
"가 거 도" 출항!! 1일(금)새벽~ 3일(일)철수!!? 2일(토)새벽~ 2일(월)철수!! "태 도" 출항!! 1일(금)새벽~ 3일(일)철수!!? 2일(토)새벽~ 2일(월)철수!! "맹 골 도" 출항!! 1일(금),2일(토),3일(일),4(월) 출항!!
예약 문의!! 010 - 4606 - 7041
| |||||||||||||||||||
| |||||||||||||||||||
![]() |























